📢
🔥 Świętujemy 10.000 Opublikowanych Ogłoszeń 🔔 z tej Okazji mamy 10 Promowań za Free na SPRZEDAWANKO.PL🔥

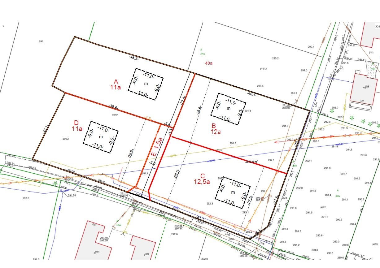
4 działek budowlanych od 11ar do 12,5ar

220 000,00 zł

{{ phone }}

{{ email }}

Dodane przez: braciasadurscy
braciasadurscy
Lokalizacja:
Telefon: {{ phone }}
Agent: Grzegorz Zębala
E-mail: grzesiek@sadurscy.pl
Telefon kom.: +48 796-541-485
Udostępnij:

Opublikowano:  | Wygaśnie:

Wyświetleń: 3 | ID ogłoszenia: 77305

Numer oferty: BS5-GS-309431-39

Szczegóły

Typ: Sprzedaż
Rynek: Wtórny
Pow. użytkowa: 1100 m2
Cena za m2 (zł): 200
Własność: własność
Typ działki: budowlana
Szer. działki (m): 38
Nr licencji: 23799
Data aktualizacji: 2026-04-22

Opis


Oferta sprzedaży działek budowlanych w miejscowości Krzyszkowice - o powierzchni 1100 m², 1200 m² , 1250 m²
Działka budowlana objęta planem zagospodarowania przestrzennego - MN1

Na sprzedaż wyjątkowa działka budowlana o powierzchni 1100 m², położona w malowniczej i spokojnej dzielnicy Krakowa - Sidzinie.


Działki dostępne:

- A o powierzchni 1100 m² w cenie 220 000 zł
- B o powierzchni 1200 m² w cenie 300 000 zł
- C o powierzchni 1250 m² w cenie 312 500 zł
- D o powierzchni 1100 m² w cenie 220 000 zł

Opis działki


Powierzchnia: od 1100 m² do 1250 m² ,
Kształt: prostokąt
Ukształtowanie terenu: w większości powierzchni płaska, w małej części niebudowlanej lekko pochyła.
Zabudowa: Jednorodzinna, oznaczenie MPZP 101MN1, w małej części działka oznaczona w MPZP ZR1 (tereny zieleni nie urządzonej)
dla budynków mieszkalnych w terenach oznaczonych na rysunku zmiany planu
symbolami MN1 oraz MU ustala się:
a. maksymalną wysokość budynku o dachu stromym - 10 metrów, dopuszcza się aby część
budynku posiadała dach płaski pod warunkiem, iż o powierzchnia przekrycia budynku
dachem płaskim nie przekroczyły 40% powierzchni zabudowy budynku; maksymalna
wysokość części budynku o dachu płaskim - 8m,
b. zasadę, aby dachy strome budynków były dwuspadowe lub wielospadowe o jednakowym
nachyleniu głównych połaci od 25º do 45º,
c. możliwość realizacji tarasów, parkingów lub terenów biologicznie czynnych na dachach
płaskich;
d. możliwość doświetlenia dachów stromych lukarnami lub oknami połaciowymi,
e. zasadę, aby dachy strome posiadały kolory ciemniejsze niż ich ściany; wprowadza się zakaz
stosowania pokryć dachowych i ścian w kolorach jaskrawym (np. intensywnie żółtych,
zielonych, fioletowych, niebieskich)
wskaźnik terenu biologicznie czynnego:
w terenach zabudowy jednorodzinnej MN1 nie może być mniejszy niż 30% powierzchni
działki budowlanej
w terenach zabudowy jednorodzinnej MN1 nie może być większy niż 40% powierzchni
działki budowlanej
minimalna powierzchnia nowo wydzielanej działki wynosi: 800m2 ,
b. minimalna szerokość nowo wydzielanej działki wynosi: 16 metrów,


Działka oferuje elastyczne możliwości zabudowy, dzięki czemu doskonale sprawdzi się zarówno dla inwestorów, jak i rodzin poszukujących przestrzeni na wymarzony dom w spokojnej okolicy.

Zalety lokalizacji


Komunikacja: Dobra dostępność do głównych arterii miasta - szybki dojazd do Krakowa (ok. 20 minut samochodem). W pobliżu znajdują się również przystanki komunikacji miejskiej.
Okolica: Krzyszkowice to miejscowość łącząca spokój wiejskiego klimatu z dostępem do miejskich udogodnień. W sąsiedztwie znajdują się domy jednorodzinne, co gwarantuje ciszę i bezpieczeństwo.
Edukacja i infrastruktura: W pobliżu zlokalizowane są szkoły, przedszkola, sklepy spożywcze oraz punkty usługowe.
Przyroda: Wokół dużo terenów zielonych, idealnych na spacery, jazdę na rowerze czy rodzinne pikniki.


Dodatkowe atuty


Media: Dostęp do mediów na działce (prąd, woda, kanalizacja, gaz)
Perspektywy: Atrakcyjna lokalizacja z dużym potencjałem inwestycyjnym - idealna na wynajem lub dalszą sprzedaż po zagospodarowaniu.


Nie czekaj - działka w Krzyszkowicach to idealne miejsce na realizację Twoich marzeń o własnym domu lub inwestycji!

Skontaktuj się z nami już dziś, aby umówić się na prezentację!
Warto zobaczyć osobiście, aby w pełni docenić możliwości, jakie oferuje ta nieruchomość.

Więcej informacji

Kuba Obcowski
+48 510 087 993

Prezentacja nieruchomości po podpisaniu umowy pośrednictwa jest całkowicie bezpłatna.


Zobacz Wirtualny Spacer: https://panoramy.galactica.pl/virgo/478943

Pośrednik odpowiedzialny zawodowo za wykonanie umowy pośrednictwa: Dariusz Sadurski (licencja nr: 803)


Oferta wysłana z systemu Galactica Virgo

Może Cię zainteresować:

Film z Youtube

Wirtualny spacer

Komentarze (0)

Nic nie znaleziono

Tylko zalogowani użytkownicy mogą dodawać komentarze

Mapa

Formularz kontaktowy

This site is protected by reCAPTCHA and the Google Privacy Policy and Terms of Service apply.

Podobne ogłoszenia

Bielany: magazyn 75,15m2 do wynajęcia

Do wynajęcia: magazyn o pow.75,15 m2 na parterze w hali magazynowo- biurowej na warszawskich Bielanach, w okolicach ul. Sokratesa, poleca Property Office (tel. 731-321-117, mail: katarzyna@propertyoff...

3 006,00 zł

Warszawa

Bielany: magazyn 54,14m2 do wynajęcia

Warszawa - Do wynajęcia: magazyn o pow.54,14 m2 na parterze w hali magazynowo- biurowej na warszawskich Bielanach, w okolicach ul. Sokratesa, poleca Property Office (tel. 731-321-117, mail: katarzyna@...

2 436,00 zł

Warszawa

Bielany: magazyn 38,85 m2 do wynajęcia

Warszawa - Do wynajęcia: magazyn o pow.26,83 m2 znajdujący się na parterze w hali magazynowo- biurowej na warszawskich Bielanach, w okolicach ul. Sokratesa, poleca Agencja Nieruchomości Property Offic...

1 709,00 zł

Warszawa

Bielany: magazyn 320m2 do wynajęcia

Warszawa - Do wynajęcia: Zewnętrzny magazyn o pow.320 m2 na parterze w hali magazynowo- biurowej na warszawskich Bielanach, w okolicach ul. Sokratesa, poleca Agencja Nieruchomości Property Office (tel...

10 240,00 zł

Warszawa

Bielany:magazyn 162,79m2 do wynajęcia

Warszawa - Do wynajęcia: magazyn o pow.162,79 m2 na parterze w hali magazynowo- biurowej na warszawskich Bielanach, w okolicach ul. Sokratesa, poleca Agencja Nieruchomości Property Office (tel. 731-32...

5 534,00 zł

Warszawa

Bielany: lokal magazynowy 104,56m2 do wynajęcia

Warszawa - Do wynajęcia: lokal magazynowy o pow.104,56 m2 na warszawskich Bielanach, parter, na terenie kompleksu magazynowo- biurowego w okolicach ul. Sokratesa,poleca Agencja Nieruchomości Property ...

3 764,00 zł

Warszawa

Bielany: lokal biurowy 182m2 do wynajęcia

Warszawa - Do wynajęcia: lokal biurowy o pow.182 m2 na 1 piętrze w budynku biurowym na terenie kompleksu na warszawskich Bielanach, w okolicach ul. i Wólki Węglowej, poleca Agencja Nieruchomości Prope...

1 092,00 zł

Warszawa

Bielany: lokal biurowy 168m2 do wynajęcia

Warszawa - Do wynajęcia: lokal biurowy o pow.168m2 na 1 piętrze w budynku biurowym na terenie kompleksu na warszawskich Bielanach, w okolicach ul. i Wólki Węglowej, poleca Agencja Nieruchomości Proper...

1 008,00 zł

Warszawa

Bielany: lokal biurowy 119m2 do wynajęcia

Warszawa - Do wynajęcia: lokal biurowy o pow.119 m2 na 1 piętrze w budynku biurowym na terenie kompleksu na warszawskich Bielanach, w okolicach ul. i Wólki Węglowej, poleca Agencja Nieruchomości Prope...

714,00 zł

Warszawa

Praga Północ: lokal biurowy 16,91m2 do wynajęcia

Warszawa - Do wynajęcia: 1-pokojowy lokal biurowy o pow.16,91 m2 na 2 piętrze w budynku biurowym na warszawskiej Pradze Północ, w okolicach ul. Targowej,poleca Agencja Nieruchomości Property Office (t...

980,00 zł

Warszawa

Praga Północ: lokal biurowy 18,99m2 do wynajęcia

Warszawa - Do wynajęcia: 1-pokojowy lokal biurowy o pow. 18,99 m2 na 2 piętrze budynku biurowego na warszawskiej Pradze Północ, w okolicach ul. Targowej,poleca Agencja Nieruchomości Property Office (t...

1 101,00 zł

Warszawa

Bielany: lokal biurowy 199m2 do wynajęcia

Warszawa - Do wynajęcia: lokal biurowy o pow.199 m2 na 1 piętrze w budynku biurowym na terenie kompleksu na warszawskich Bielanach, w okolicach ul. i Wólki Węglowej, poleca Agencja Nieruchomości Prope...

1 194,00 zł

Warszawa

Facebook
Facebook
Sprzedawanko.pl – serwis ogłoszeń Firmowanko.pl – katalog firm i usług Pracowanko.pl – serwis pracy Ugościmy.pl – serwis noclegów Nporta.pl – katalog firm i usług