📢
🔥 Świętujemy 10.000 Opublikowanych Ogłoszeń 🔔 z tej Okazji mamy 10 Promowań za Free na SPRZEDAWANKO.PL🔥

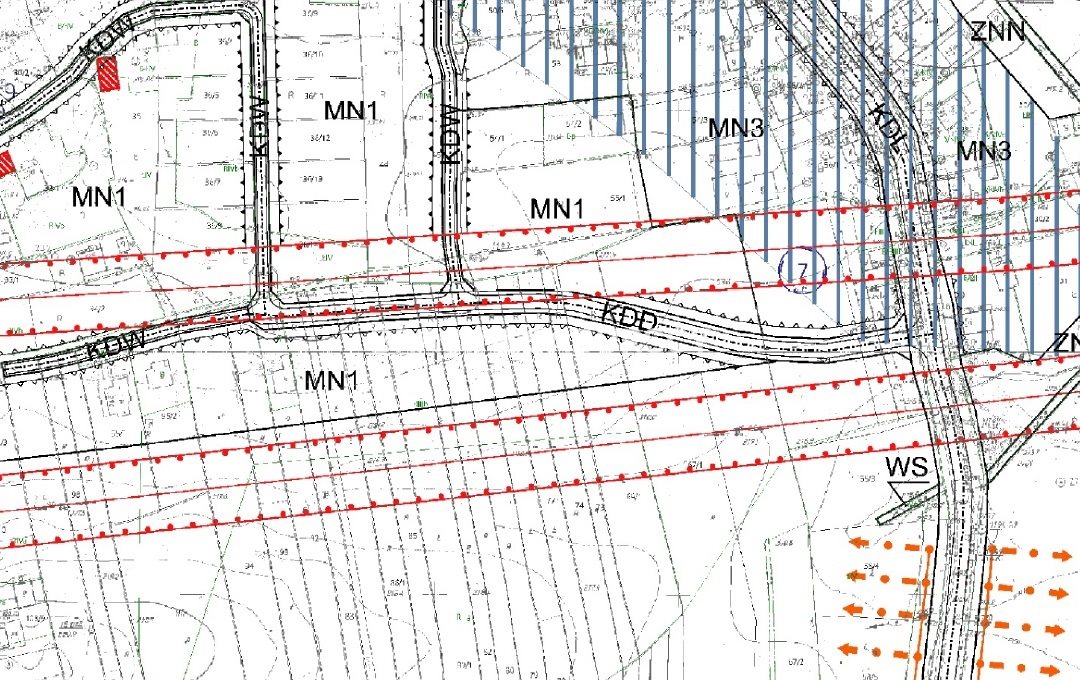
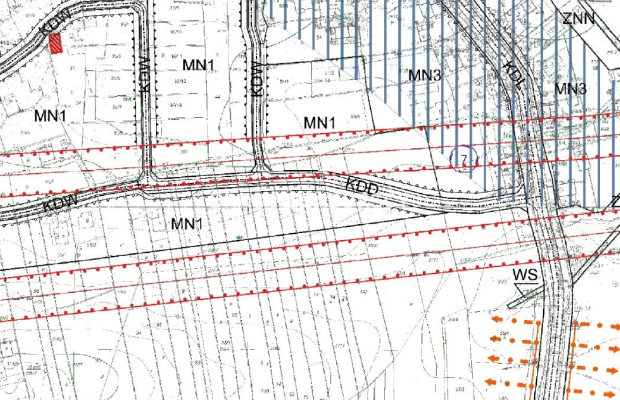
Działka Sidzina pod bliżniaka

599 000,00 zł

{{ phone }}

{{ email }}

Dodane przez: braciasadurscy
braciasadurscy
Lokalizacja:
Telefon: {{ phone }}
Agent: Grzegorz Zębala
E-mail: grzesiek@sadurscy.pl
Telefon kom.: +48 796-541-485
Udostępnij:

Opublikowano:  | Wygaśnie:

Wyświetleń: 3 | ID ogłoszenia: 77303

Numer oferty: BS5-GS-305983-42

Szczegóły

Typ: Sprzedaż
Rynek: Wtórny
Pow. użytkowa: 3683 m2
Cena za m2 (zł): 162.64
Własność: własność
Typ działki: rolna, budowlana
Nr licencji: 23799
Data aktualizacji: 2026-04-22

Opis


Oferta sprzedaży działki w Sidzinie, Kraków - 3683 m² z możliwością zabudowy bliźniaczej

Na sprzedaż wyjątkowa działka budowlana o powierzchni 3683 m², położona w malowniczej i spokojnej dzielnicy Krakowa - Sidzinie.

Opis działki


Powierzchnia: 3683m ,Działka ma wymiary około 182m na 19m
Kształt: prostokąt
Ukształtowanie terenu: Płaska działka, co ułatwia prace budowlane
Zabudowa: Możliwość postawienia bliźniaka


Działka oferuje elastyczne możliwości zabudowy, dzięki czemu doskonale sprawdzi się zarówno dla inwestorów, jak i rodzin poszukujących przestrzeni na wymarzony dom w spokojnej okolicy.

Zalety lokalizacji


Komunikacja: Dobra dostępność do głównych arterii miasta - szybki dojazd do centrum Krakowa (ok. 20 minut samochodem). W pobliżu znajdują się również przystanki komunikacji miejskiej.
Okolica: Sidzina to dzielnica łącząca spokój wiejskiego klimatu z dostępem do miejskich udogodnień. W sąsiedztwie znajdują się domy jednorodzinne, co gwarantuje ciszę i bezpieczeństwo.
Edukacja i infrastruktura: W pobliżu zlokalizowane są szkoły, przedszkola, sklepy spożywcze oraz punkty usługowe.
Przyroda: Wokół dużo terenów zielonych, idealnych na spacery, jazdę na rowerze czy rodzinne pikniki.


Dodatkowe atuty


Media: Dostęp do mediów na działce (prąd, woda, kanalizacja), na sąsiedniej działce (gaz)
Perspektywy: Atrakcyjna lokalizacja z dużym potencjałem inwestycyjnym - idealna na wynajem lub dalszą sprzedaż po zagospodarowaniu.


Nie czekaj - działka w Sidzinie to idealne miejsce na realizację Twoich marzeń o własnym domu lub inwestycji!

Skontaktuj się z nami już dziś, aby umówić się na prezentację!
Warto zobaczyć osobiście, aby w pełni docenić możliwości, jakie oferuje ta nieruchomość.

Kuba Obcowski
+48 510 087 993




Zobacz Wirtualny Spacer: https://panoramy.galactica.pl/virgo/470213

Pośrednik odpowiedzialny zawodowo za wykonanie umowy pośrednictwa: Dariusz Sadurski (licencja nr: 803)


Oferta wysłana z systemu Galactica Virgo

Może Cię zainteresować:

Film z Youtube

Wirtualny spacer

Komentarze (0)

Nic nie znaleziono

Tylko zalogowani użytkownicy mogą dodawać komentarze

Mapa

Formularz kontaktowy

This site is protected by reCAPTCHA and the Google Privacy Policy and Terms of Service apply.

Podobne ogłoszenia

Bielany: magazyn 75,15m2 do wynajęcia

Do wynajęcia: magazyn o pow.75,15 m2 na parterze w hali magazynowo- biurowej na warszawskich Bielanach, w okolicach ul. Sokratesa, poleca Property Office (tel. 731-321-117, mail: katarzyna@propertyoff...

3 006,00 zł

Warszawa

Bielany: magazyn 54,14m2 do wynajęcia

Warszawa - Do wynajęcia: magazyn o pow.54,14 m2 na parterze w hali magazynowo- biurowej na warszawskich Bielanach, w okolicach ul. Sokratesa, poleca Property Office (tel. 731-321-117, mail: katarzyna@...

2 436,00 zł

Warszawa

Bielany: magazyn 38,85 m2 do wynajęcia

Warszawa - Do wynajęcia: magazyn o pow.26,83 m2 znajdujący się na parterze w hali magazynowo- biurowej na warszawskich Bielanach, w okolicach ul. Sokratesa, poleca Agencja Nieruchomości Property Offic...

1 709,00 zł

Warszawa

Bielany: magazyn 320m2 do wynajęcia

Warszawa - Do wynajęcia: Zewnętrzny magazyn o pow.320 m2 na parterze w hali magazynowo- biurowej na warszawskich Bielanach, w okolicach ul. Sokratesa, poleca Agencja Nieruchomości Property Office (tel...

10 240,00 zł

Warszawa

Bielany:magazyn 162,79m2 do wynajęcia

Warszawa - Do wynajęcia: magazyn o pow.162,79 m2 na parterze w hali magazynowo- biurowej na warszawskich Bielanach, w okolicach ul. Sokratesa, poleca Agencja Nieruchomości Property Office (tel. 731-32...

5 534,00 zł

Warszawa

Bielany: lokal magazynowy 104,56m2 do wynajęcia

Warszawa - Do wynajęcia: lokal magazynowy o pow.104,56 m2 na warszawskich Bielanach, parter, na terenie kompleksu magazynowo- biurowego w okolicach ul. Sokratesa,poleca Agencja Nieruchomości Property ...

3 764,00 zł

Warszawa

Bielany: lokal biurowy 182m2 do wynajęcia

Warszawa - Do wynajęcia: lokal biurowy o pow.182 m2 na 1 piętrze w budynku biurowym na terenie kompleksu na warszawskich Bielanach, w okolicach ul. i Wólki Węglowej, poleca Agencja Nieruchomości Prope...

1 092,00 zł

Warszawa

Bielany: lokal biurowy 168m2 do wynajęcia

Warszawa - Do wynajęcia: lokal biurowy o pow.168m2 na 1 piętrze w budynku biurowym na terenie kompleksu na warszawskich Bielanach, w okolicach ul. i Wólki Węglowej, poleca Agencja Nieruchomości Proper...

1 008,00 zł

Warszawa

Bielany: lokal biurowy 119m2 do wynajęcia

Warszawa - Do wynajęcia: lokal biurowy o pow.119 m2 na 1 piętrze w budynku biurowym na terenie kompleksu na warszawskich Bielanach, w okolicach ul. i Wólki Węglowej, poleca Agencja Nieruchomości Prope...

714,00 zł

Warszawa

Praga Północ: lokal biurowy 16,91m2 do wynajęcia

Warszawa - Do wynajęcia: 1-pokojowy lokal biurowy o pow.16,91 m2 na 2 piętrze w budynku biurowym na warszawskiej Pradze Północ, w okolicach ul. Targowej,poleca Agencja Nieruchomości Property Office (t...

980,00 zł

Warszawa

Praga Północ: lokal biurowy 18,99m2 do wynajęcia

Warszawa - Do wynajęcia: 1-pokojowy lokal biurowy o pow. 18,99 m2 na 2 piętrze budynku biurowego na warszawskiej Pradze Północ, w okolicach ul. Targowej,poleca Agencja Nieruchomości Property Office (t...

1 101,00 zł

Warszawa

Bielany: lokal biurowy 199m2 do wynajęcia

Warszawa - Do wynajęcia: lokal biurowy o pow.199 m2 na 1 piętrze w budynku biurowym na terenie kompleksu na warszawskich Bielanach, w okolicach ul. i Wólki Węglowej, poleca Agencja Nieruchomości Prope...

1 194,00 zł

Warszawa

Facebook
Facebook
Sprzedawanko.pl – serwis ogłoszeń Firmowanko.pl – katalog firm i usług Pracowanko.pl – serwis pracy Ugościmy.pl – serwis noclegów Nporta.pl – katalog firm i usług