📢
🔥 Świętujemy 10.000 Opublikowanych Ogłoszeń 🔔 z tej Okazji mamy 10 Promowań za Free na SPRZEDAWANKO.PL🔥

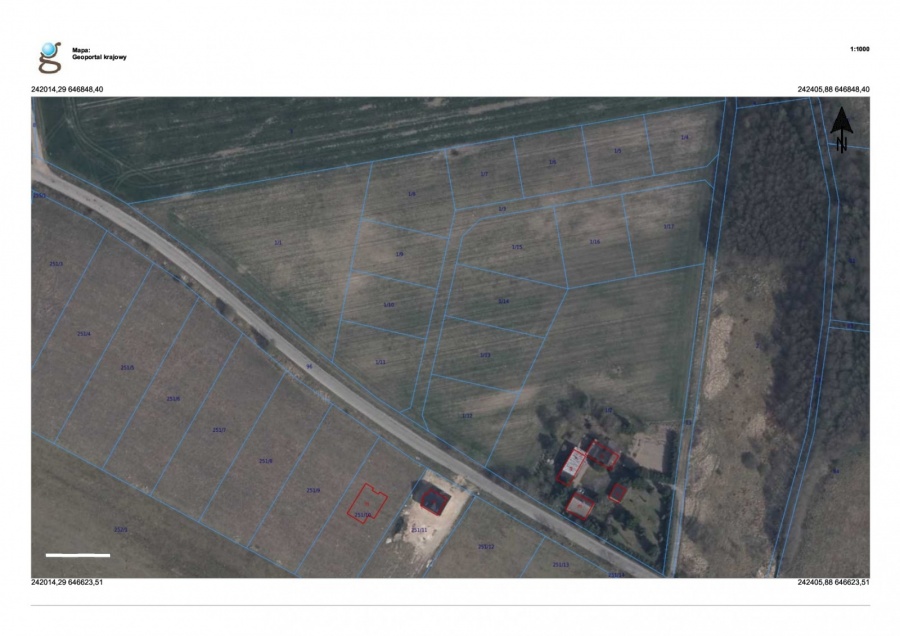
Działka 1/6 w kompleksie 14 działek z WZ

64 653,00 zł

{{ phone }}

{{ email }}

Dodane przez: kernernieruchomosci
kernernieruchomosci
Lokalizacja: Konstytucji 3 Maja 51/3a
Telefon: {{ phone }}
Agent: Dawid Kerner
E-mail: biuro@kerner-nieruchomosci.pl
Telefon kom.: GSM: 500 700 758
Udostępnij:

Opublikowano:  | Wygaśnie:

Wyświetleń: 1 | ID ogłoszenia: 76770

Numer oferty: 26459/KRN/DZS-26556

Szczegóły

Typ: Sprzedaż
Rynek: Wtórny
Pow. użytkowa: 937 m2
Cena za m2 (zł): 69
Własność: AKT WŁASN. ZIEMI
Typ działki: BUDOWLANO-ROLNA
Długość działki (m): 0
Szer. działki (m): 0
Telefon biuro: mobile GSM: 500 700 758
Nr licencji: 21221
Data aktualizacji: 2026-04-20 19:16
Cena do negocjacji: TAK

Opis

https://www.kerner-nieruchomosci.pl
Polecamy Państwu DZIAŁKĘ NR 1/6 o pow. 937 m2, położoną w miejscowości Długołęka, obręb Długołęka, Gm. Nowogard, pow. goleniowski, woj. zachodniopomorskie. Nieruchomość znajduje się w kompleksie 17 działek (15 przeznaczonych do sprzedaży, w tym dz. nr 1/3 stanowi drogę wewnętrzną (udział). Działka ma dostęp do drogi publicznej. WYDANE WARUNKI ZABUDOWY: BUDYNEK MIESZKALNY JEDNORODZINNY WRAZ Z URZĄDZENIAMI BUDOWLANYMI. Polecamy z uwagi na lokalizację (6 km od Nowogardu), lokatę kapitału, a przede wszystkim atrakcyjną, niską cenę 69 zł/m2 do negocjacji. Polecamy i Zapraszamy na Prezentację.
INFORMACJE PODSTAWOWE:
Powierzchnia: 0,0937 HA,
Działka: wewnętrzna,
Kształt: kwadrat,
Wygląd działki: pusta,
Ogrodzona: nie,
Miejscowy Plan Zagospodarowania Przestrzennego: nie,
Warunki zabudowy: TAK - BUDYNEK MIESZKALNY JEDNORODZINNY WRAZ Z URZĄDZENIAMI BUDOWLANYMI.
POŁOŻENIE:
Usytuowanie: obrzeża miejscowości,
Odległość do najbliższych zabudowań: 50-100 m,
Sąsiedztwo: zabudowa mieszkaniowa (budynki wolnostojące), tereny zielone,
Rodzaj drogi dojazdowej: gminna (asfalt), gminna (gruntowa), wewnętrzna / osiedlowa (gruntowa),
Dostęp do drogi publicznej: tak,
Ukształtowanie terenu: teren płaski,
Nowogard: 6 km,
Goleniów: 27 km,
Stargard: 35 km,
Szczecin: 65 km,
Międzyzdroje: 70 km.
MEDIA:
WODA: brak (okolica),
KANALIZA: brak (prawdopodobnie szambo),
GAZ: brak,
PRĄD: brak (okolica).
Wirtualny Spacer | Home Tour VR 360:
https://www.kerner-nieruchomosci.pl/wirtualne_spacery/dzialki_sprzedaz_nowogard_gmina/index.html
WYKAZ DZIAŁEK


NUMER
POW. (HA)





1/4
0,0984
REZERWACJA


1/5
0,0856



1/6
0,0937



1/7
0,0942



1/8
0,1359



1/9
0,1015
SPRZEDANA


1/10
0,0985
SPRZEDANA


1/11
0,1192



1/12
0,1189



1/13
0,1264



1/14
0,1263



1/15
0,1335



1/16
0,1260



1/17
0,1472



NR 1/3 - 0,1392 HA (DROGA WEWNĘTRZNA)
DZIAŁKI NR 1/9 i 1/10 SPRZEDANE
KERNER NIERUCHOMOŚCI
mgr Dawid Kerner
72-100 Goleniów
ul. Konstytucji 3 Maja 51/3a
Mobile GSM: 500 700 758
https://www.kerner-nieruchomosci.pl
Nieruchomości Goleniów | Sprzedaj Nieruchomość | Kup Nieruchomość
Jesteśmy także na:
Facebook
https://www.facebook.com/kernernieruchomosci/
Instagram
https://www.instagram.com/kernernieruchomosci/
Twitter
https://twitter.com/kernerestate/
TikTok
https://www.tiktok.com/@kernernieruchomosci
YouTube
https://www.youtube.com/@kernernieruchomosci
Nazwy, marki, znaki, znaki towarowe, loga, ruchomości, nieruchomości, materiały, opracowania, mapy i inne prawa i rzeczy, należą do ich prawnych właścicieli.


:: Oferta wysłana z programu mediaRent (media-rent.eu) ::

Może Cię zainteresować:

Film z Youtube

Komentarze (0)

Nic nie znaleziono

Tylko zalogowani użytkownicy mogą dodawać komentarze

Mapa

Formularz kontaktowy

This site is protected by reCAPTCHA and the Google Privacy Policy and Terms of Service apply.

Podobne ogłoszenia

M3-wysoki parter-balkon-Zosinek-do remontu

"Nieruchomości Apartament"Karolina Kubicka Zalesska573 098 029 3 pokoje / Wysoki Parter - Legnica, blisko Politechniki Na sprzedaż przestronne, dwustronne i bardzo rozkładowe mieszkanie o powier...

345 000,00 zł

Dolnośląskie

Ochota: biuro wirtualne

Warszawa - Do wynajęcia: biuro wirtualne na 13 piętrze biurowca w okolicach ul. Szczęśliwickiej, na warszawskiej Ochocie,poleca Property Office (tel. 731-321-117, mail: katarzyna@propertyoffice.pl)---...

819,00 zł

Warszawa

Ochota: biurko w coworkingu na wynajem

Warszawa - Do wynajęcia: biurko w coworkingu na 13 piętrze biurowca w OKOLICACH ul. Szczęśliwickiej, na warszawskiej Ochocie,poleca Agencja Nieruchomości Property Office (tel. 731-321-117, mail: katar...

719,00 zł

Warszawa

Ochota: biurko w coworkingu na wynajem

Warszawa - Do wynajęcia: biurko w coworkingu na 13 piętrze biurowca w OKOLICACH ul. Szczęśliwickiej, na warszawskiej Ochocie,poleca Agencja Nieruchomości Property Office (tel. 731-321-117, mail: katar...

719,00 zł

Warszawa

Bielany: lokal biurowy na wynajem

Warszawa - Do wynajęcia: lokal biurowy o pow.133 m2 na 1 piętrze w budynku biurowym na terenie kompleksu na warszawskich Bielanach, w okolicach ul. i Wólki Węglowej, poleca Agencja Nieruchomości Prope...

798,00 zł

Warszawa

Bielany: lokal biurowy na wynajem

Warszawa - Do wynajęcia: lokal biurowy o pow.189 m2 na 1 piętrze w budynku biurowym na terenie kompleksu na warszawskich Bielanach, w okolicach ul. i Wólki Węglowej, poleca Agencja Nieruchomości Prope...

1 134,00 zł

Warszawa

Bielany: lokal biurowy na wynajem

Warszawa - Do wynajęcia: lokal biurowy o pow.119 m2 na 1 piętrze w budynku biurowym na terenie kompleksu na warszawskich Bielanach, w okolicach ul. i Wólki Węglowej, poleca Agencja Nieruchomości Prope...

714,00 zł

Warszawa

Bielany: lokal biurowy na wynajem

Warszawa - Do wynajęcia: lokal biurowy o pow.182 m2 na 1 piętrze w budynku biurowym na terenie kompleksu na warszawskich Bielanach, w okolicach ul. i Wólki Węglowej, poleca Agencja Nieruchomości Prope...

1 092,00 zł

Warszawa

Facebook
Facebook
Sprzedawanko.pl – serwis ogłoszeń Firmowanko.pl – katalog firm i usług Pracowanko.pl – serwis pracy Ugościmy.pl – serwis noclegów Nporta.pl – katalog firm i usług