📢
🔥 Świętujemy 10.000 Opublikowanych Ogłoszeń 🔔 z tej Okazji mamy 10 Promowań za Free na SPRZEDAWANKO.PL🔥

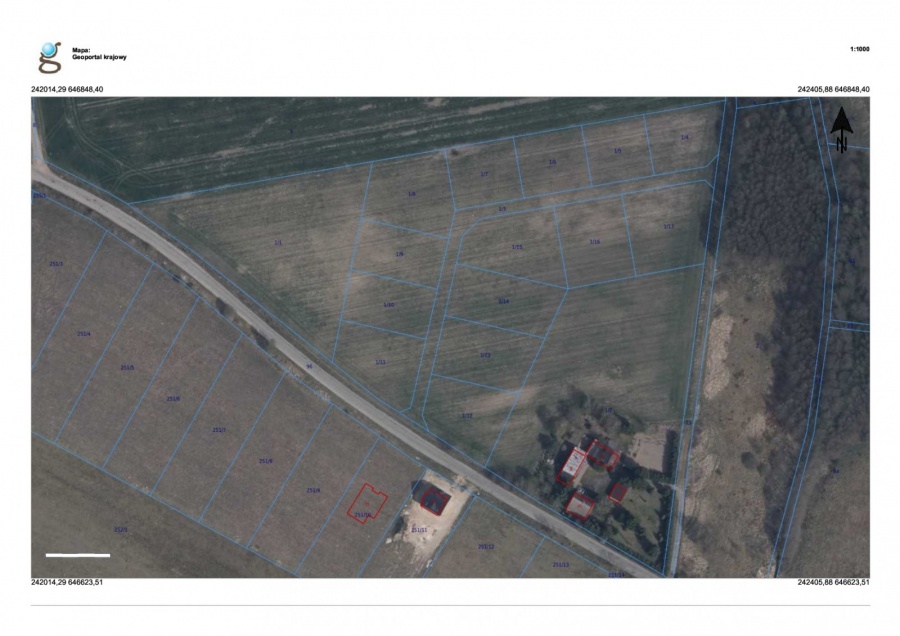
Działka 1/16 w kompleksie 14 działek z WZ

86 940,00 zł

{{ phone }}

{{ email }}

Dodane przez: kernernieruchomosci
kernernieruchomosci
Lokalizacja: Konstytucji 3 Maja 51/3a
Telefon: {{ phone }}
Agent: Dawid Kerner
E-mail: biuro@kerner-nieruchomosci.pl
Telefon kom.: GSM: 500 700 758
Udostępnij:

Opublikowano:  | Wygaśnie:

Wyświetleń: 1 | ID ogłoszenia: 76762

Numer oferty: 26467/KRN/DZS-26564

Szczegóły

Typ: Sprzedaż
Rynek: Wtórny
Pow. użytkowa: 1260 m2
Cena za m2 (zł): 69
Własność: AKT WŁASN. ZIEMI
Typ działki: BUDOWLANO-ROLNA
Długość działki (m): 0
Szer. działki (m): 0
Telefon biuro: mobile GSM: 500 700 758
Nr licencji: 21221
Data aktualizacji: 2026-04-20 19:16
Cena do negocjacji: TAK

Opis

https://www.kerner-nieruchomosci.pl
Polecamy Państwu DZIAŁKĘ NR 1/16 o pow. 1260 m2, położoną w miejscowości Długołęka, obręb Długołęka, Gm. Nowogard, pow. goleniowski, woj. zachodniopomorskie. Nieruchomość znajduje się w kompleksie 17 działek (15 przeznaczonych do sprzedaży, w tym dz. nr 1/3 stanowi drogę wewnętrzną (udział). Działka ma dostęp do drogi publicznej. WYDANE WARUNKI ZABUDOWY: BUDYNEK MIESZKALNY JEDNORODZINNY WRAZ Z URZĄDZENIAMI BUDOWLANYMI. Polecamy z uwagi na lokalizację (6 km od Nowogardu), lokatę kapitału, a przede wszystkim atrakcyjną, niską cenę 69 zł/m2 do negocjacji. Polecamy i Zapraszamy na Prezentację.
INFORMACJE PODSTAWOWE:
Powierzchnia: 0,1260 HA,
Działka: wewnętrzna,
Kształt: prostokąt,
Wygląd działki: pusta,
Ogrodzona: nie,
Miejscowy Plan Zagospodarowania Przestrzennego: nie,
Warunki zabudowy: TAK - BUDYNEK MIESZKALNY JEDNORODZINNY WRAZ Z URZĄDZENIAMI BUDOWLANYMI.
POŁOŻENIE:
Usytuowanie: obrzeża miejscowości,
Odległość do najbliższych zabudowań: 50-100 m,
Sąsiedztwo: zabudowa mieszkaniowa (budynki wolnostojące), tereny zielone,
Rodzaj drogi dojazdowej: gminna (asfalt), gminna (gruntowa), wewnętrzna / osiedlowa (gruntowa),
Dostęp do drogi publicznej: tak,
Ukształtowanie terenu: teren płaski,
Nowogard: 6 km,
Goleniów: 27 km,
Stargard: 35 km,
Szczecin: 65 km,
Międzyzdroje: 70 km.
MEDIA:
WODA: brak (okolica),
KANALIZA: brak (prawdopodobnie szambo),
GAZ: brak,
PRĄD: brak (okolica).
Wirtualny Spacer | Home Tour VR 360:
https://www.kerner-nieruchomosci.pl/wirtualne_spacery/dzialki_sprzedaz_nowogard_gmina/index.html
WYKAZ DZIAŁEK


NUMER
POW. (HA)





1/4
0,0984
REZERWACJA


1/5
0,0856



1/6
0,0937



1/7
0,0942



1/8
0,1359



1/9
0,1015
SPRZEDANA


1/10
0,0985
SPRZEDANA


1/11
0,1192



1/12
0,1189



1/13
0,1264



1/14
0,1263



1/15
0,1335



1/16
0,1260



1/17
0,1472



NR 1/3 - 0,1392 HA (DROGA WEWNĘTRZNA)
DZIAŁKI NR 1/9 i 1/10 SPRZEDANE
KERNER NIERUCHOMOŚCI
mgr Dawid Kerner
72-100 Goleniów
ul. Konstytucji 3 Maja 51/3a
Mobile GSM: 500 700 758
https://www.kerner-nieruchomosci.pl
Nieruchomości Goleniów | Sprzedaj Nieruchomość | Kup Nieruchomość
Jesteśmy także na:
Facebook
https://www.facebook.com/kernernieruchomosci/
Instagram
https://www.instagram.com/kernernieruchomosci/
Twitter
https://twitter.com/kernerestate/
TikTok
https://www.tiktok.com/@kernernieruchomosci
YouTube
https://www.youtube.com/@kernernieruchomosci
Nazwy, marki, znaki, znaki towarowe, loga, ruchomości, nieruchomości, materiały, opracowania, mapy i inne prawa i rzeczy, należą do ich prawnych właścicieli.


:: Oferta wysłana z programu mediaRent (media-rent.eu) ::

Może Cię zainteresować:

Film z Youtube

Komentarze (0)

Nic nie znaleziono

Tylko zalogowani użytkownicy mogą dodawać komentarze

Mapa

Formularz kontaktowy

This site is protected by reCAPTCHA and the Google Privacy Policy and Terms of Service apply.

Podobne ogłoszenia

Hala Produkcyjno-Magazynowa Jastrowie, NEGOCJACJA

OOFERTA SPRZEDAŻY HALI PRODUKCYJNO-MAGAZYNOWEJ - JASTROWIENa sprzedaż hala produkcyjno-magazynowa zlokalizowana w Jastrowiu, idealna dla przedsiębiorców poszukujących funkcjonalnej przestrzeni do prow...

690 000,00 zł

Wielkopolskie

48 m² na Twój biznes przy Galerii ATUT - gotowy lokal handlowo-usługowy! Na sprzedaż oferujemy lokal handlowo-usługowy o p

48 m² na Twój biznes przy Galerii ATUT - gotowy lokal handlowo-usługowy! Na sprzedaż oferujemy lokal handlowo-usługowy o powierzchni 48 m², usytuowany przy parkingu tętniącej życiem Galerii ...

147 000,00 zł

Kraków

Dwa drewniane domy z czterema lokalami

Dwa drewniane domy z czterema lokalami mieszkalnymi w Łapszach Wyżnych Oferujemy na sprzedaż dwa budynki mieszkalne , jednorodzinne, wolnostojące w Łapszach Wyżnych. Domy są parterowe z uż...

2 449 000,00 zł

Łapsze Wyżne

Wyjątkowy obiekt mieszkalno - usługowy o pow. 820 m2 w Iwkowej Oferujemy Państwu unikalną nieruchomość o charakterze miesz

Wyjątkowy obiekt mieszkalno - usługowy o pow. 820 m2 w Iwkowej Oferujemy Państwu unikalną nieruchomość o charakterze mieszkalno-usługowym o powierzchni ok. 820 m² , położoną w malowniczej m...

4 590 000,00 zł

Iwkowa

Kęty, obręb Bielany, powiat oświęcimski

Kęty, obręb Bielany, powiat oświęcimski, województwo małopolskie. Na sprzedaż nieruchomość gruntowa zabudowana o powierzchni 3,1442 ha, położona w Bielanach, mieszcząca się na działce zabudowanej...

2 200 000,00 zł

Oświęcimski

Hala mag. - prod. pow. 860 m2 w centrum Proszowic!

Hala magazynowa o pow. 865 m2 - Proszowice ul. Nowa Do wynajęcia hala o przeznaczeniu magazynowo-produkcyjnym znajdująca się na trzeciej kondygnacji budynku handlowo-magazynowego zlokalizowanego...

8 500,00 zł

Proszowice

Warsztat o pow. 450 m2 w centrum Proszowic!

Hala warsztatowa o pow. 450 m2 - Proszowice ul. Nowa Do wynajęcia hala warsztatowa znajdująca się na parterze budynku handlowo-magazynowego zlokalizowanego w centrum Proszowic. Hala posiada trz...

4 500,00 zł

Proszowice

LOKAL USŁUGOWY HANDLOWY MNIKÓW PARKING 82M2

LOKAL USŁUGOWO-HANDLOWO-MAGAZYNOWY / DO WYNAJĘCIA / 82 M2 / Z POTENCJAŁEM NA RÓŻNORODNE DZIAŁALNOŚCI / CENTRUM MNIKOWA / PARTER / PARKING KTO MOŻE WYNAJĄĆ ❓ Lokal nadaje się na absolut...

3 000,00 zł

Mników

Facebook
Facebook
Sprzedawanko.pl – serwis ogłoszeń Firmowanko.pl – katalog firm i usług Pracowanko.pl – serwis pracy Ugościmy.pl – serwis noclegów Nporta.pl – katalog firm i usług