
| Dodane przez: | em5 |
| Lokalizacja: | |
| Agent: | Tomasz Jackiewicz |
| E-mail: | tomasz.jackiewicz@em5.pl |
| Udostępnij: |
Opublikowano: | Wygaśnie:
Wyświetleń: 1 | ID ogłoszenia: 76030
Numer oferty: 865011
| Typ: | Sprzedaż |
| Pow. użytkowa: | 1420 m2 |
| Typ działki: | Budowlana |
| Telefon biuro: | 577112912 |
| Data aktualizacji: | 2026-02-09 11:16:28 |
Większość atrakcyjnych nieruchomości w tej okolicy znika zanim trafia na portale. Dlatego pracujemy również na ofertach dostępnych tylko dla naszych klientów.
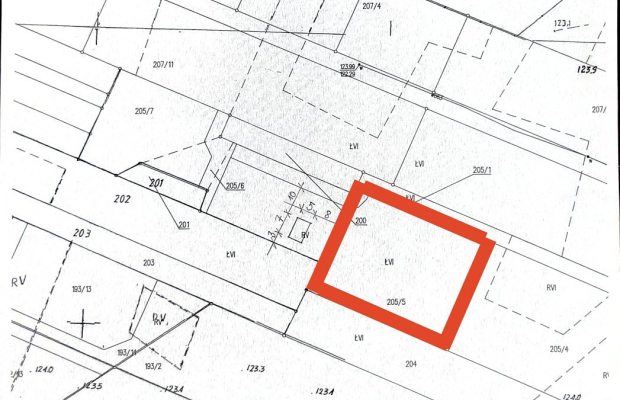
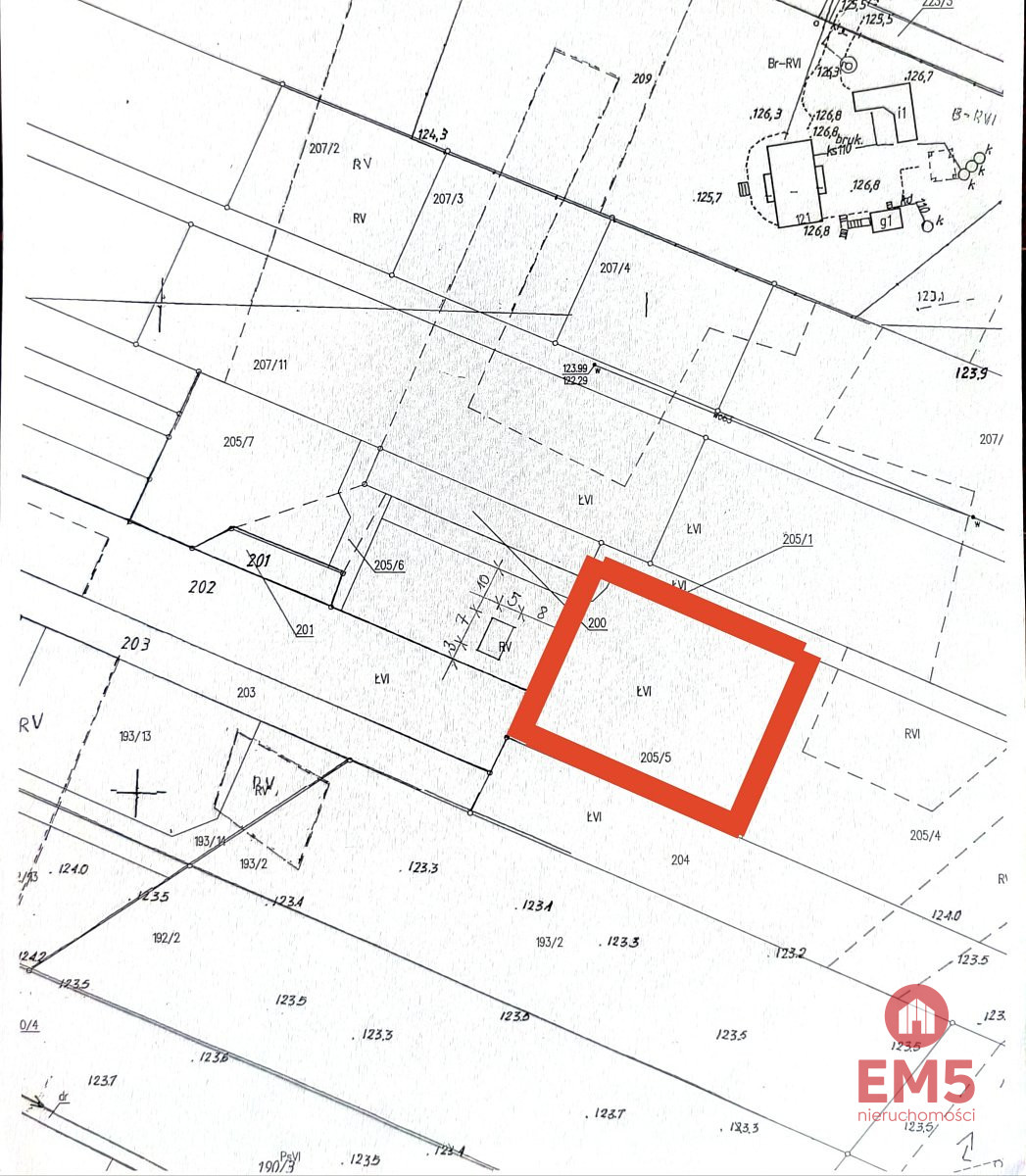
Działka budowlana 1420 m2 - Płaska, miejscowość turystyczna - 150 000 zł.
Na sprzedaż działka budowlana o powierzchni 1420 m2, położona w malowniczej i spokojnej miejscowości Płaska, cenionej za bliskość jezior, lasów i pełnej infrastruktury turystycznej. Idealne miejsce pod budowę domu jednorodzinnego lub inwestycję rekreacyjną.
Lokalizacja: Miejscowość Płaska to urokliwe miejsce na Podlasiu, w otoczeniu przyrody, z jednoczesnym dostępem do pełnej infrastruktury życia codziennego:
- sklepy
- przystanki PKS
- restauracje
- jeziora i atrakcje turystyczne
Parametry działki: Powierzchnia: 1420 m2. Teren: płaski, częściowo zadrzewiony (możliwość wycinki lub aranżacji według własnych potrzeb). Miejscowy plan zagospodarowania przestrzennego. W trakcie oczekiwania na warunki zabudowy dla domu jednorodzinnego
Media i przyłącza: Możliwość podłączenia do wodociągu z sąsiednich posesji. Możliwość przyłącza do sieci elektrycznej (skrzynka w pobliżu działki)
To doskonała okazja dla osób szukających spokojnego miejsca do życia lub wypoczynku, jak również dla inwestorów chcących ulokować kapitał w atrakcyjnym rejonie turystycznym.
Zapraszam do zapoznania się z ofertą.
Jeśli ta nieruchomość nie spełnia wszystkich oczekiwań - skontaktuj się z nami. Pokażemy również inne oferty dopasowane do Twoich potrzeb, w tym takie, które nie są jeszcze publikowane.
Nic nie znaleziono
Tylko zalogowani użytkownicy mogą dodawać komentarze
Duże 3 pokojowe z balkonem na I piętrze!
"Nieruchomości Apartament"Mikołaj Krzyżosiak 513 383 116 Oferta dostępna tylko w naszym biurze!Na sprzedaż oferuję komfortowe mieszkanie o powierzchni 72,12 m², usytuowane na 1 piętrze w spokojnej o...
377 000,00 zł
Duże mieszkanie 134 m² w centrum Tucholi!
Na sprzedaż przestronne mieszkanie w centrum Tucholi o powierzchni 134 m².Oferuję na sprzedaż duże, funkcjonalne mieszkanie o powierzchni 134 m², położone na 2. piętrze w kamienicy w samym centrum Tuc...
350 000,00 zł
Gospodarstwo około 1,5 ha w Łazanach gm.Biskupice
Do sprzedania gospodarstwo o pow.około 1,5 ha z rozpoczętą budową/ przyziemie zaadoptowane do zamieszkania/.Powierzchnia zabudowy około 90 m2.zaadaptowane na dwa pokoje ,kuchnie,łazienkę,garaż,całoś...
650 000,00 zł
Działka budowlano-rolna w Łazanach gm.Biskupice
Działka 47 arów - część budowlana + zieleń, cicha okolica, media, atrakcyjna cena! Na sprzedaż działka o powierzchni 47 arów , w kształcie zbliżonym do prostokąta. Nieruchomość położona jest na...
390 000,00 zł
Gospodarstwo około 2 ha w Łazanach gm.Biskupice
Na sprzedaż: Gospodarstwo z działkami o łącznej powierzchni ok. 2 ha - rozpoczęta budowa, możliwość zamieszkania! Na sprzedaż nieruchomość gruntowa o łącznej powierzchni około 2 hektarów , ...
950 000,00 zł